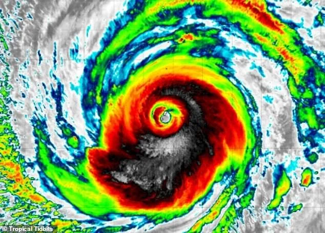
Super Typhoon Sinlaku Threatens Pacific Islands with Devastating Storm.
Super Typhoon Sinlaku, featuring sustained winds of 173 mph, became the Pacific's strongest storm on Monday. The massive system is expected to hit the islands Tuesday night, bringing significant destruction. The storm is currently tracking toward Guam and the Northern Mariana Islands, including Saipan, Tinian, and Rota.

The storm intensified from a tropical cyclone to Category 5 in roughly two days. Nearly 2,000 tourists are currently stranded across these US territories as the storm approaches the region. In Guam, which has over 170,000 residents, canceled flights have prevented 1,500 visitors from returning home. Guam is an unincorporated territory where residents are US citizens but cannot vote in Congress.
The National Weather Service warned that the storm will bring destructive winds and heavy flooding through Wednesday. Meteorologist Landon Aydlett noted that the storm has entered a major slowdown, potentially prolonging the damage. According to the Pacific Daily News, Aydlett stated, "It’s going to be a very long night." High winds and heavy rain are expected to impact the islands for 24 hours.

The potential for long-term devastation mirrors the impact of Typhoon Yutu in 2018. That Category 5 storm caused significant economic damage that required years of recovery efforts. The current storm could similarly disrupt life on the islands for weeks or even months.

President Trump approved emergency disaster declarations for both Guam and the Northern Mariana Islands on Sunday. This allows FEMA and other agencies to assist with essential supplies and the upcoming recovery efforts. Additionally, the US military on Guam has been instructed to shelter in place.
While typhoons form in the West Pacific, hurricanes develop in the Atlantic and Eastern Pacific Oceans. The Pacific typhoon season lasts from mid-February through early December, while the Atlantic season begins June 1. Cyclones typically form south of the equator, whereas a Category 5 rating indicates winds exceeding 157 mph. AccuWeather has warned that five tropical cyclones could impact the US mainland in 2026.

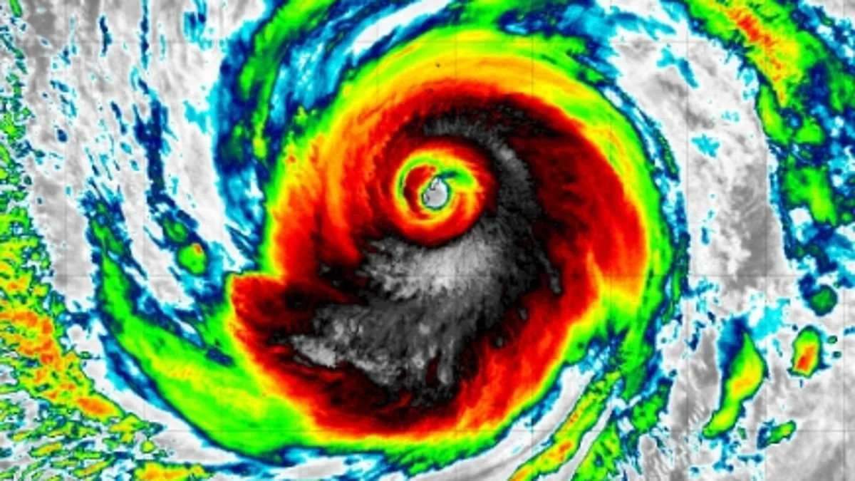
As a massive typhoon prepares to strike the Mariana Islands, the humanitarian and strategic stakes are rising. An estimated 400 tourists are believed to be trapped within the U.S. commonwealth, a territory with a population of roughly 47,000 people, most of whom reside on Saipan. The approaching storm has already caused property damage and left travelers stranded across both the Northern Mariana Islands and Guam.

The scale of the coming destruction is significant, with sustained winds expected to exceed 140 mph this Tuesday. The atmosphere of dread is palpable; as one person remarked, "Many of you up there in the CNMI probably have a sleepless night, as it's going to be very loud, a lot of action going on and unfortunately, a lot of damage."
The 14-island archipelago in the western Pacific—which includes Saipan, Tinian, and Rota—is a region where history and modern identity intersect. While the islands rely heavily on tourism centered around WWII history, diving, and beaches, the political reality for its residents is complex. Although English is the official language and all residents are U.S. citizens, they are unable to vote. However, due to a special 1975 agreement with Congress, the islands maintain more self-governing autonomy than other U.S. commonwealths.

The storm also poses a threat to one of the most critical military hubs in the western Pacific. In Guam, U.S. military installations cover approximately one-third of the island. Andersen Air Force Base provides a platform for long-range bombers, such as the B-52 and B-2, which are capable of carrying nuclear weapons. Meanwhile, Naval Base Guam supports the U.S. Pacific Fleet through logistics and the stationing of attack submarines. The convergence of a devastating natural disaster and such high-stakes military importance underscores the profound risk to the communities caught in the storm's path.
Photos